Anuntul accesat este inactiv. Iti sugeram anunturi cu caracteristici asemanatoare.
Anunturi active sugerate
Suprafata 600 mp
Intravilan
Deschidere 14 ml
Dambovita, 24 Aprilie '26
Suprafata 1.265 mp
Intravilan
Deschidere 15 ml
Giurgiu, 21 Aprilie '26
Suprafata 520 mp
Intravilan
Deschidere 18 ml
Giurgiu, 20 Aprilie '26
Anunt inactiv
Zetari
18.999 €
Zetari
18.999 €
Caracteristici
Suprafata 498 mp
Intravilan
Deschidere 20 ml
Detalii suplimentare: Acces drum asfaltat Cadastru Pud Puz
Detalii suplimentare: Acces drum asfaltat Cadastru Pud Puz
Descriere
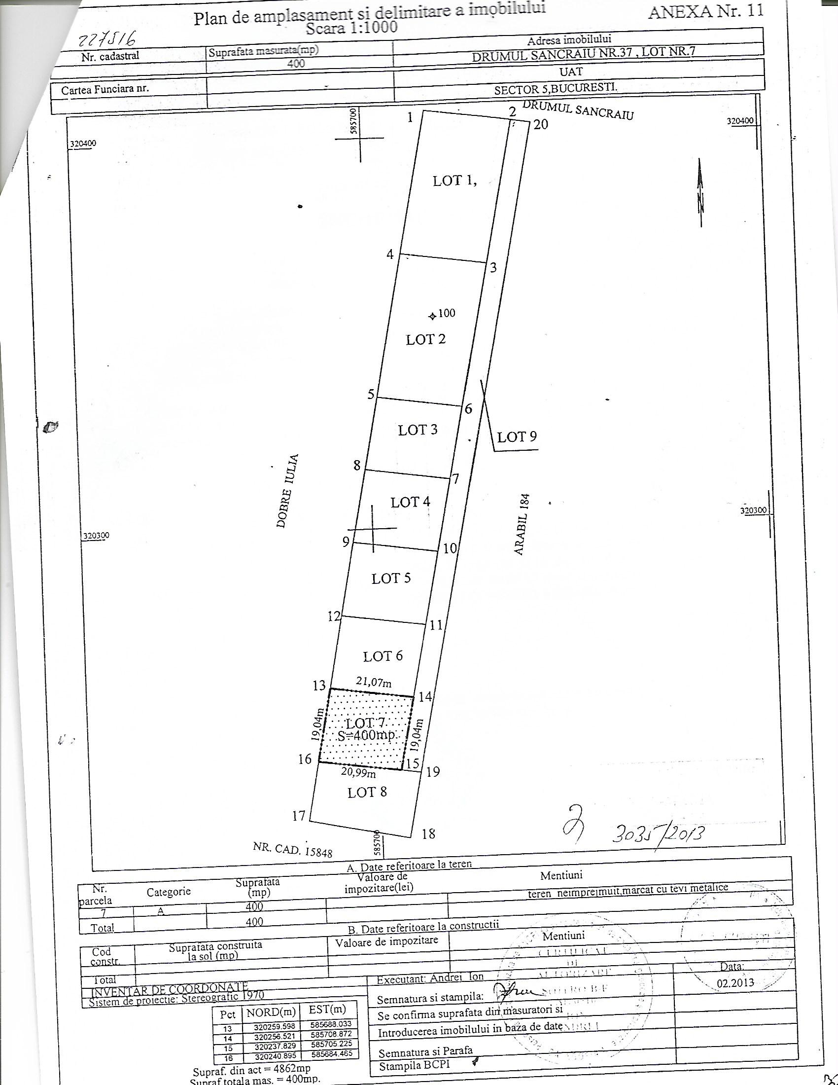
Teren intravilan situat pe strada Drumul Sancraiu / Nufarul Gablen, intrarea din strada N. D. Cocea, sector 5, Bucuresti, 400 mp teren + 98 drumul de servitute. Utilitati in imediata apropiere,
Teren intravilan situat pe strada Drumul Sancraiu / Nufarul Gablen - Intrarea din strada N. D. Cocea , sector 5, Bucuresti .
Zona in dezvoltare .
Terenul face parte dintr-un grup de 9 loturi , lotizarea facandu-se recent .
Terentul are PUZ si Cadastru , este indreptat si defrisat .
Suprafata teren : 400 mp + 98 mp drum de servitute .
Utilitati in imediata apropiere : Apa / canal si energie electrica la capatul drumul de servitute , iar gaze la 30m de drumul de servitute .
Teren intravilan situat pe strada Drumul Sancraiu / Nufarul Gablen - Intrarea din strada N. D. Cocea , sector 5, Bucuresti .
Zona in dezvoltare .
Terenul face parte dintr-un grup de 9 loturi , lotizarea facandu-se recent .
Terentul are PUZ si Cadastru , este indreptat si defrisat .
Suprafata teren : 400 mp + 98 mp drum de servitute .
Utilitati in imediata apropiere : Apa / canal si energie electrica la capatul drumul de servitute , iar gaze la 30m de drumul de servitute .
255 vizualizari
Bucuresti
Actualizat
Actualizat
Statii metrou
| Eroii Revolutiei | 48 min | |
| Constantin Brancoveanu | 53 min | |
| Piata Sudului | 61 min |
Anunt inactiv
