Anuntul accesat este inactiv. Iti sugeram anunturi cu caracteristici asemanatoare.
Anunturi active sugerate
Suprafata 1.990 mp
Intravilan
Deschidere 8 ml
Prahova, 08 Ianuarie '26
44.170 €
Suprafata 631 mp
Intravilan
Deschidere 22 ml
Ilfov, 06 Ianuarie '26
Suprafata 665 mp
Intravilan
Deschidere 25 ml
Ilfov, 07 Ianuarie '26
Suprafata 1.000 mp
Intravilan
Deschidere 45 ml
Giurgiu, 06 Ianuarie '26
Anunt inactiv
Costinesti - Golful Francez
40.000 €
Costinesti - Golful Francez
40.000 €
Caracteristici
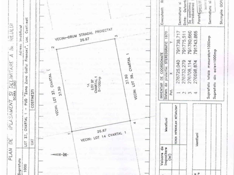
Suprafata 1.000 mp
Intravilan
Deschidere 26 ml
Detalii suplimentare: Acces drum asfaltat Cadastru Curent electric Liber Parcelabil Stradal
Detalii suplimentare: Acces drum asfaltat Cadastru Curent electric Liber Parcelabil Stradal
Descriere
teren Costinesti - Golful Francez - 1000 mp.- deschidere 26.67 ml. Suprafata 37.50 x 26.67 ml
Lot 37 - Cvartal 1.
Teren Costinesti - Golful Francez - 1000 mp.- deschidere 26.67 ml.
Suprafata 37.50 x 26.67 ml
Lot 37 - Cvartal 1
Lot 37 - Cvartal 1.
Teren Costinesti - Golful Francez - 1000 mp.- deschidere 26.67 ml.
Suprafata 37.50 x 26.67 ml
Lot 37 - Cvartal 1
37 vizualizari
Constanta
Actualizat
Actualizat
Anunt inactiv
