Anuntul accesat este inactiv. Iti sugeram anunturi cu caracteristici asemanatoare.
Anunturi active sugerate
Suprafata 989 mp
Intravilan
Deschidere 20 ml
Brasov, 28 Martie '26
168.000 €
Suprafata 1.200 mp
Intravilan
Deschidere 16 ml
Ilfov, 24 Martie '26
Suprafata 2.643 mp
Intravilan
Deschidere 22 ml
Arges, 30 Martie '26
Anunt inactiv
Calea Giulesti, certificat de urbanism pentru P+2
145.000 €
Calea Giulesti, certificat de urbanism pentru P+2
145.000 €
Caracteristici
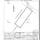
Suprafata 475 mp
Intravilan
Deschidere 12 ml
Detalii suplimentare: Acces drum asfaltat Alimentare apa Cadastru Canalizare Certificat urbanism constructie teren Curent electric Cut Gaze Ingradit Intabulare Liber Pot Pud Puz Stradal
Detalii suplimentare: Acces drum asfaltat Alimentare apa Cadastru Canalizare Certificat urbanism constructie teren Curent electric Cut Gaze Ingradit Intabulare Liber Pot Pud Puz Stradal
Descriere
teren intravilan de vanzare in cartierul Giulesti, sector 1, Bucuresti, ideal pentru constructie casa/ vila cu regim de inaltime P+2, terenul are POT 45% si CUT 1.3 (pentru P+2) si H max (10 metri),
Agentia Topis Imobiliare va propune spre vanzare un teren intravilan cu suprafata de 475 mp. si deschidere la strada 12 m, in Cartierul Giulesti, Sector 1, ideal pentru investitie/ constructie casa / vila, cu regim de inaltime p+2 conform certificatul de urbanism eliberat.
Avem eliberat certificatul de urbanism, acordul alipire din partea vecinului (declaratie notariala),
Terenul are POT 45% si CUT 1.3 (pentru P+2) si H max (10 metri).
Se permite un nivel mansardat, inscris in volumul acoperisului.
Proprietarul detine toate actele pentru vanzare.
Vecinii sunt civilizati, strada asfaltata iar terenul are la poarta toate utilitatile: apa, gaze, canalizare.
Comision 0%.
Pentru orice intrebari, acte suplimentare, nu ezitati sa ne contactati.
Agentia Topis Imobiliare va propune spre vanzare un teren intravilan cu suprafata de 475 mp. si deschidere la strada 12 m, in Cartierul Giulesti, Sector 1, ideal pentru investitie/ constructie casa / vila, cu regim de inaltime p+2 conform certificatul de urbanism eliberat.
Avem eliberat certificatul de urbanism, acordul alipire din partea vecinului (declaratie notariala),
Terenul are POT 45% si CUT 1.3 (pentru P+2) si H max (10 metri).
Se permite un nivel mansardat, inscris in volumul acoperisului.
Proprietarul detine toate actele pentru vanzare.
Vecinii sunt civilizati, strada asfaltata iar terenul are la poarta toate utilitatile: apa, gaze, canalizare.
Comision 0%.
Pentru orice intrebari, acte suplimentare, nu ezitati sa ne contactati.
416 vizualizari
Bucuresti, Sector 1
Actualizat
Actualizat
Statii metrou
| Grivița | 31 min | |
| Metrou 1 Mai | 47 min | |
| Jiului - Ascensor | 60 min |
Statii STB
| Bucharest Carpați | 6 min | |
| Piața Giulești | 6 min | |
| Godeni | 9 min |
Anunt inactiv
