Anuntul accesat este inactiv. Iti sugeram anunturi cu caracteristici asemanatoare.
Anunturi active sugerate
239.000 €
Suprafata utila 384 mp
Teren 1.871 mp
An 2005
6 camere
La cheie
Valcea, 13 Decembrie '25
249.000 €
Suprafata utila 340 mp
An 1997
5 camere
La cheie
Prahova, 10 Decembrie '25
165.000 €
Suprafata utila 160 mp
Teren 201 mp
An 2010
5 camere
La cheie
Ilfov, 15 Decembrie '25
Suprafata utila 120 mp
An 2010
4 camere
Prahova, 15 Decembrie '25
Suprafata utila 146 mp
Teren 370 mp
An 2025
5 camere
La cheie
Ilfov, ieri; 14:07
Anunt inactiv
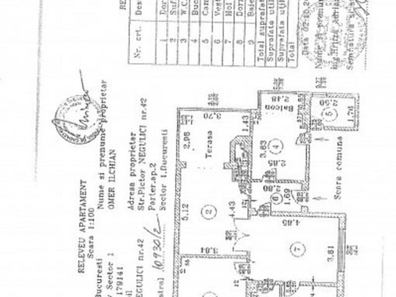
Pictor Negulici
210.000 €
Pictor Negulici,
210.000 €
Caracteristici
Suprafata utila 130 mp
Teren 300 mp
An 1950
4 camere
Optiuni interior: 2+ gr. sanitare
Optiuni exterior: Garaj M 6 min.
Optiuni interior: 2+ gr. sanitare
Optiuni exterior: Garaj M 6 min.
Descriere
Primaverii. Apartament 4 camere, parter inalt, p+2, imobilul necesita consolidare. Garaj si extra loc de parcare in fata garajului. Str Pictor Ion Negulici 42. Executare silita,
406 vizualizari
Bucuresti, Sector 1, Publicat
Actualizat
Actualizat
Statii metrou
| Aviatorilor | 6 min | |
| Piața Victoriei | 28 min | |
| Aurel Vlaicu | 35 min |
Statii STB
| 131 , 282 , 301 , 330 , 331 , 335 | Piața Charles de Gaulle | 4 min |
| Aviatorilor | 4 min | |
| 182 , 282 | Sala Lucian Grigorescu | 9 min |
| 131 , 282 , 330 , 331 , 335 | Piața Charles De Gaulle | 9 min |
Evolutia preturilor imobiliare in Floreasca-Dorobanti
se incarca..
Anunt inactiv
